CHO THUÊ NHÀ XƯỞNG – TÂN THÀNH, BRVT – 17.400 m²

  • Giá : Thỏa thuận
  • Diện tích : 17400 m2
Thông tin mô tả
CHO THUÊ NHÀ XƯỞNG – TÂN THÀNH, BRVT – 17.400 m²
Thông tin chi tiết
Vị trí: Tân Thành, Bà Rịa – Vũng Tàu (gần KCN Châu Đức)
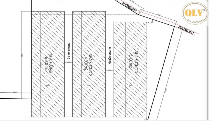
Tổng diện tích khuôn viên: 25.000 m²
Tổng diện tích nhà xưởng: 17.400 m²
Hiện trạng & pháp lý
Xưởng đang trong quá trình xây dựng
Pháp lý rõ ràng, phù hợp thuê sản xuất lâu dài
Quy mô xây dựng
Nhà xưởng 1 (X1): 6.000 m²
Nhà xưởng 2 (X2): 6.000 m²
Nhà xưởng 3 (X3): 5.400 m²
Hạ tầng kỹ thuật
Hạ tầng mới, đồng bộ theo tiêu chuẩn khu công nghiệp
Đáp ứng tốt nhu cầu sản xuất đa ngành nghề
Đặc điểm khu xưởng
Quy mô lớn, gồm nhiều nhà xưởng riêng biệt, linh hoạt sử dụng
Thiết kế hiện đại, phù hợp doanh nghiệp sản xuất và logistics
Vị trí gần KCN Châu Đức, thuận tiện kết nối giao thông và chuỗi cung ứng
Phù hợp thuê dài hạn cho các doanh nghiệp trong và ngoài nước
Liên hệ
CÔNG TY TNHH MTV QUÝ LỘC VƯỢNG
Hotline: 0931 769 444
Website: https://nhaxuongmiennam.vn/
CHO THUÊ NHÀ XƯỞNG – TÂN THÀNH, BRVT – 17.400 m²

Đặc điểm bất động sản

Mã tin:
779161
Ngày đăng:
16/04/2026

Thông tin liên hệ

Tên liên hệ:
TUYẾT TRINH
Điện thoại:
0706266476
Email:
letuyettrinh0910@gmail.com
Xem bất động sản cùng người đăng

Bất động sản khác

CHO THUÊ NHÀ XƯỞNG 27000M SẢN XUẤT TẠI TÂN UYÊN BÌNH DƯƠNG

CHO THUÊ NHÀ XƯỞNG 27000M SẢN XUẤT TẠI TÂN UYÊN BÌNH DƯƠNG

CHO THUÊ NHÀ XƯỞNG 27000M SẢN XUẤT TẠI TÂN UYÊN BÌNH DƯƠNG

0 triệu/tháng
27000 m²
Xã Phước Thành , Hồ Chí Minh
27/05/2025

CHO THUÊ NHÀ XƯỞNG SẢN XUẤT TÂN UYÊN - BÌNH DƯƠNG

CHO THUÊ NHÀ XƯỞNG SẢN XUẤT TÂN UYÊN - BÌNH DƯƠNG

CHO THUÊ NHÀ XƯỞNG SẢN XUẤT TÂN UYÊN - BÌNH DƯƠNG

0 triệu/tháng
5720 m²
Xã Tân Uyên , Hồ Chí Minh
20/05/2025

Bất động sản cùng người đăng

CHO THUÊ NHÀ XƯỞNG – UYÊN HƯNG, TÂN UYÊN, BD – 9.100m²

CHO THUÊ NHÀ XƯỞNG – UYÊN HƯNG, TÂN UYÊN, BD –  9.100m²

CHO THUÊ NHÀ XƯỞNG – UYÊN HƯNG, TÂN UYÊN, BD – 9.100m²

/tháng
0 m²
Phường Tân Uyên , Hồ Chí Minh
22/01/2026

CHO THUÊ NHÀ XƯỞNG – KCN BÀU BÀNG, BD – 23.391m²

CHO THUÊ NHÀ XƯỞNG – KCN BÀU BÀNG, BD – 23.391m²

CHO THUÊ NHÀ XƯỞNG – KCN BÀU BÀNG, BD – 23.391m²

/tháng
0 m²
Xã Bàu Bàng , Hồ Chí Minh
16/01/2026

CHO THUÊ NHÀ XƯỞNG – VĨNH TÂN, TÂN UYÊN, BD – 6.000m²

CHO THUÊ NHÀ XƯỞNG – VĨNH TÂN, TÂN UYÊN, BD – 6.000m²

CHO THUÊ NHÀ XƯỞNG – VĨNH TÂN, TÂN UYÊN, BD – 6.000m²

/tháng
0 m²
Phường Tân Uyên , Hồ Chí Minh
17/01/2026

CHO THUÊ NHÀ XƯỞNG – KCN TÂN BÌNH, BD – 24.000m²

CHO THUÊ NHÀ XƯỞNG – KCN TÂN BÌNH, BD – 24.000m²

CHO THUÊ NHÀ XƯỞNG – KCN TÂN BÌNH, BD – 24.000m²

/tháng
0 m²
Phường Tân Uyên , Hồ Chí Minh
17/01/2026